
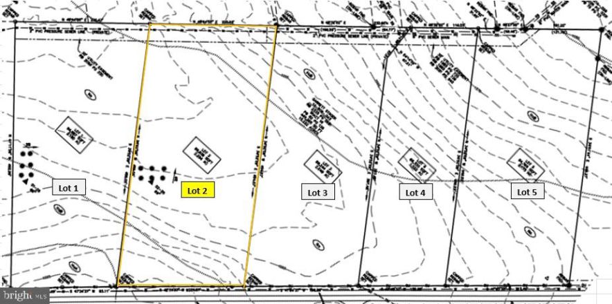
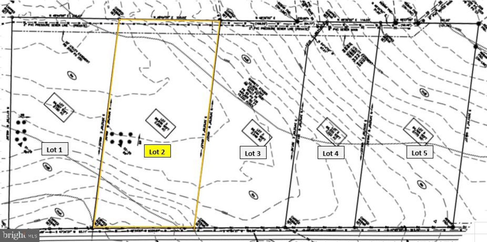
Lot 2 ZION BACK RD
BELLEFONTE, PA 16823
PRICE: $179,900
Active | MLS# pace2516590
The Details
Bring your dream plans to reality! This premier 2.29 acre lot on Zion Back Road offers numerous modern amenities while located in a suburban residential setting with mountain views. Enjoy public water and perc-approved sewer (in-ground septic) with will-serve letters and driveway permit already secured. Zion Back Road has been freshly paved and new main water line installed. Lot 2 is the largest available in this plan and offers level or sloped build sites to choose from. No HOA or builder tie-in allows for endless opportunities to customize your vision! Lot 1 already sold, lock in your location today! Just 10 minutes to downtown Bellefonte. Easy access to I-80 and 99, your future home sits only 20 minutes from State College. This rare opportunity to own 2+ acres in the heart of Walker Township and join the growing Bellefonte community won’t last long. Lock in your future dream site today! *Seller is a licensed real estate agent in PA. *Final Plan has been recorded and ready to sell!
Property Overview
| School District | BELLEFONTE AREA |
| County | CENTRE |
| Municipality | WALKER TWP |
| Sewer | Perc Approved Septic |
| Total Taxes | $163 |
Interest${{ vm.principal }}
Insurance${{ vm.pmi }}
Insurance${{ vm.taxes }}
*All fees are for estimate purposes only.
Directions: Turn off of 64 (Nittany Valley Drive). Zion Back Road across from Ralph's Lane.. Property borders the back of Stony Pointe & adjacent to Deer Haven development.
| Sq. Footages | |
|---|---|
| Above Grade Finished Sq. Ft. | |
| Above Grade Unfinished Sq. Ft. | |
| Below Grade Finished Sq. Ft. | |
| Below Grade Unfinished Sq. Ft. | |
| Total Finished Sq. Ft. |
| Rooms | Main | Upper | Lower | Bsmt. |
|---|
| Zoning SUBURBAN RESIDENTIAL |
| Possession Settlement |
| Assessed Value |



















